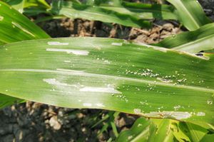
Descrição: É uma praga importante para as culturas da soja, feijão, feijão vagem e ervilha. A sua ocorrência acontece entre os meses de novembro e agosto, sendo que o pico populacional é observado no mês de abril.
Danos: As lagartas, enquanto pequenas, raspam as folhas, provocando manchas claras. Com o seu crescimento, tornam-se mais vorazes e acabam destruindo completamente as folhas, podendo, em alguns casos, danificar as hastes finais. Essa lagarta diferencia-se das demais lagartas pelo fato de dobrar o corpo, unindo as folhas com os fios de seda para que possam obter proteção.
Controle: Realizar pulverizações com inseticidas específicos, registrados para as culturas.
Descrição:
SINONÍMIA: Bleprosema indicata (Fabricius, 1794); Lamprosema indicata (Fabricius, 1794); Hedylepta vulgaris (Guenée); Anania indicata (Fabricius, 1794) Ordem: Lepidoptera. Família: Pyralidae. É uma praga importante para a cultura da soja, mas ataca também a cultura do feijão. A sua ocorrência acontece entre os meses de novembro e agosto, sendo que o pico populacional é observado no mês de abril.
Descrição: É uma praga importante para as culturas da soja, feijão, feijão vagem e ervilha. A sua ocorrência acontece entre os meses de novembro e agosto, sendo que o pico populacional é observado no mês de abril.
Danos: As lagartas, enquanto pequenas, raspam as folhas, provocando manchas claras. Com o seu crescimento, tornam-se mais vorazes e acabam destruindo completamente as folhas, podendo, em alguns casos, danificar as hastes finais. Essa lagarta diferencia-se das demais lagartas pelo fato de dobrar o corpo, unindo as folhas com os fios de seda para que possam obter proteção.
Controle: Realizar pulverizações com inseticidas específicos, registrados para as culturas.
Descrição:
SINONÍMIA: Bleprosema indicata (Fabricius, 1794); Lamprosema indicata (Fabricius, 1794); Hedylepta vulgaris (Guenée); Anania indicata (Fabricius, 1794) Ordem: Lepidoptera. Família: Pyralidae. É uma praga importante para a cultura da soja, mas ataca também a cultura do feijão. A sua ocorrência acontece entre os meses de novembro e agosto, sendo que o pico populacional é observado no mês de abril.
Descrição: É uma praga importante para as culturas da soja, feijão, feijão vagem e ervilha. A sua ocorrência acontece entre os meses de novembro e agosto, sendo que o pico populacional é observado no mês de abril.
Danos: As lagartas, enquanto pequenas, raspam as folhas, provocando manchas claras. Com o seu crescimento, tornam-se mais vorazes e acabam destruindo completamente as folhas, podendo, em alguns casos, danificar as hastes finais. Essa lagarta diferencia-se das demais lagartas pelo fato de dobrar o corpo, unindo as folhas com os fios de seda para que possam obter proteção.
Controle: Realizar pulverizações com inseticidas específicos, registrados para as culturas.
Descrição:
SINONÍMIA: Bleprosema indicata (Fabricius, 1794); Lamprosema indicata (Fabricius, 1794); Hedylepta vulgaris (Guenée); Anania indicata (Fabricius, 1794) Ordem: Lepidoptera. Família: Pyralidae. É uma praga importante para a cultura da soja, mas ataca também a cultura do feijão. A sua ocorrência acontece entre os meses de novembro e agosto, sendo que o pico populacional é observado no mês de abril.
Descrição: É uma praga importante para as culturas da soja, feijão, feijão vagem e ervilha. A sua ocorrência acontece entre os meses de novembro e agosto, sendo que o pico populacional é observado no mês de abril.
Danos: As lagartas, enquanto pequenas, raspam as folhas, provocando manchas claras. Com o seu crescimento, tornam-se mais vorazes e acabam destruindo completamente as folhas, podendo, em alguns casos, danificar as hastes finais. Essa lagarta diferencia-se das demais lagartas pelo fato de dobrar o corpo, unindo as folhas com os fios de seda para que possam obter proteção.
Controle: Realizar pulverizações com inseticidas específicos, registrados para as culturas.
Descrição:
SINONÍMIA: Bleprosema indicata (Fabricius, 1794); Lamprosema indicata (Fabricius, 1794); Hedylepta vulgaris (Guenée); Anania indicata (Fabricius, 1794) Ordem: Lepidoptera. Família: Pyralidae. É uma praga importante para a cultura da soja, mas ataca também a cultura do feijão. A sua ocorrência acontece entre os meses de novembro e agosto, sendo que o pico populacional é observado no mês de abril.
Descrição: É uma praga importante para as culturas da soja, feijão, feijão vagem e ervilha. A sua ocorrência acontece entre os meses de novembro e agosto, sendo que o pico populacional é observado no mês de abril.
Danos: As lagartas, enquanto pequenas, raspam as folhas, provocando manchas claras. Com o seu crescimento, tornam-se mais vorazes e acabam destruindo completamente as folhas, podendo, em alguns casos, danificar as hastes finais. Essa lagarta diferencia-se das demais lagartas pelo fato de dobrar o corpo, unindo as folhas com os fios de seda para que possam obter proteção.
Controle: Realizar pulverizações com inseticidas específicos, registrados para as culturas.
Descrição:
SINONÍMIA: Bleprosema indicata (Fabricius, 1794); Lamprosema indicata (Fabricius, 1794); Hedylepta vulgaris (Guenée); Anania indicata (Fabricius, 1794) Ordem: Lepidoptera. Família: Pyralidae. É uma praga importante para a cultura da soja, mas ataca também a cultura do feijão. A sua ocorrência acontece entre os meses de novembro e agosto, sendo que o pico populacional é observado no mês de abril.
Descrição: É uma praga importante para as culturas da soja, feijão, feijão vagem e ervilha. A sua ocorrência acontece entre os meses de novembro e agosto, sendo que o pico populacional é observado no mês de abril.
Danos: As lagartas, enquanto pequenas, raspam as folhas, provocando manchas claras. Com o seu crescimento, tornam-se mais vorazes e acabam destruindo completamente as folhas, podendo, em alguns casos, danificar as hastes finais. Essa lagarta diferencia-se das demais lagartas pelo fato de dobrar o corpo, unindo as folhas com os fios de seda para que possam obter proteção.
Controle: Realizar pulverizações com inseticidas específicos, registrados para as culturas.
Descrição:
SINONÍMIA: Bleprosema indicata (Fabricius, 1794); Lamprosema indicata (Fabricius, 1794); Hedylepta vulgaris (Guenée); Anania indicata (Fabricius, 1794) Ordem: Lepidoptera. Família: Pyralidae. É uma praga importante para a cultura da soja, mas ataca também a cultura do feijão. A sua ocorrência acontece entre os meses de novembro e agosto, sendo que o pico populacional é observado no mês de abril.
Descrição: É uma praga importante para as culturas da soja, feijão, feijão vagem e ervilha. A sua ocorrência acontece entre os meses de novembro e agosto, sendo que o pico populacional é observado no mês de abril.
Danos: As lagartas, enquanto pequenas, raspam as folhas, provocando manchas claras. Com o seu crescimento, tornam-se mais vorazes e acabam destruindo completamente as folhas, podendo, em alguns casos, danificar as hastes finais. Essa lagarta diferencia-se das demais lagartas pelo fato de dobrar o corpo, unindo as folhas com os fios de seda para que possam obter proteção.
Controle: Realizar pulverizações com inseticidas específicos, registrados para as culturas.
Descrição:
SINONÍMIA: Bleprosema indicata (Fabricius, 1794); Lamprosema indicata (Fabricius, 1794); Hedylepta vulgaris (Guenée); Anania indicata (Fabricius, 1794) Ordem: Lepidoptera. Família: Pyralidae. É uma praga importante para a cultura da soja, mas ataca também a cultura do feijão. A sua ocorrência acontece entre os meses de novembro e agosto, sendo que o pico populacional é observado no mês de abril.
Descrição: É uma praga importante para as culturas da soja, feijão, feijão vagem e ervilha. A sua ocorrência acontece entre os meses de novembro e agosto, sendo que o pico populacional é observado no mês de abril.
Danos: As lagartas, enquanto pequenas, raspam as folhas, provocando manchas claras. Com o seu crescimento, tornam-se mais vorazes e acabam destruindo completamente as folhas, podendo, em alguns casos, danificar as hastes finais. Essa lagarta diferencia-se das demais lagartas pelo fato de dobrar o corpo, unindo as folhas com os fios de seda para que possam obter proteção.
Controle: Realizar pulverizações com inseticidas específicos, registrados para as culturas.
Descrição:
SINONÍMIA: Bleprosema indicata (Fabricius, 1794); Lamprosema indicata (Fabricius, 1794); Hedylepta vulgaris (Guenée); Anania indicata (Fabricius, 1794) Ordem: Lepidoptera. Família: Pyralidae. É uma praga importante para a cultura da soja, mas ataca também a cultura do feijão. A sua ocorrência acontece entre os meses de novembro e agosto, sendo que o pico populacional é observado no mês de abril.
Descrição: É uma praga importante para as culturas da soja, feijão, feijão vagem e ervilha. A sua ocorrência acontece entre os meses de novembro e agosto, sendo que o pico populacional é observado no mês de abril.
Danos: As lagartas, enquanto pequenas, raspam as folhas, provocando manchas claras. Com o seu crescimento, tornam-se mais vorazes e acabam destruindo completamente as folhas, podendo, em alguns casos, danificar as hastes finais. Essa lagarta diferencia-se das demais lagartas pelo fato de dobrar o corpo, unindo as folhas com os fios de seda para que possam obter proteção.
Controle: Realizar pulverizações com inseticidas específicos, registrados para as culturas.
Descrição:
SINONÍMIA: Bleprosema indicata (Fabricius, 1794); Lamprosema indicata (Fabricius, 1794); Hedylepta vulgaris (Guenée); Anania indicata (Fabricius, 1794) Ordem: Lepidoptera. Família: Pyralidae. É uma praga importante para a cultura da soja, mas ataca também a cultura do feijão. A sua ocorrência acontece entre os meses de novembro e agosto, sendo que o pico populacional é observado no mês de abril.
Descrição: É uma praga importante para as culturas da soja, feijão, feijão vagem e ervilha. A sua ocorrência acontece entre os meses de novembro e agosto, sendo que o pico populacional é observado no mês de abril.
Danos: As lagartas, enquanto pequenas, raspam as folhas, provocando manchas claras. Com o seu crescimento, tornam-se mais vorazes e acabam destruindo completamente as folhas, podendo, em alguns casos, danificar as hastes finais. Essa lagarta diferencia-se das demais lagartas pelo fato de dobrar o corpo, unindo as folhas com os fios de seda para que possam obter proteção.
Controle: Realizar pulverizações com inseticidas específicos, registrados para as culturas.
Descrição:
SINONÍMIA: Bleprosema indicata (Fabricius, 1794); Lamprosema indicata (Fabricius, 1794); Hedylepta vulgaris (Guenée); Anania indicata (Fabricius, 1794) Ordem: Lepidoptera. Família: Pyralidae. É uma praga importante para a cultura da soja, mas ataca também a cultura do feijão. A sua ocorrência acontece entre os meses de novembro e agosto, sendo que o pico populacional é observado no mês de abril.

